miércoles 29  de  abril 2026
Supertifón

El más agresivo de los ciclones

Estos fenómenos meteorológicos son tan fuertes y peligrosos como un huracán categoría 5 en la escala de Saffir-Simpson

Tifón es el término que define a los vientos extremadamente fuertes que se generan como consecuencia del giro del aire alrededor de una región de baja presión. Se trata de un ciclón característico del Océano Pacífico, y que por tanto, afecta las costas orientales de Asia.
n
Los desencadenantes de este fenómeno climático son las bajas presiones atmosféricas y la condensación del aire húmedo del ambiente, que se transforma en fuertes lluvias, y suelen calificarse en base a la escala de huracanes de Saffir-Simpson, desarrollada por el ingeniero Herbert Saffir y el meteorólogo Robert Simpson, ambos norteamericanos, en 1969. La misma, contempla niveles que van del uno al cinco, siendo el uno la categoría más débil y el cinco la de nivel de impacto y de daños más importantes. n

La palabra tifón procede del latín u201ctyphon u201d, que se traduce como torbellino, aunque cada cultura le ha dado su propia designación a este fenómeno, en Egipto, por ejemplo, se le conocía como u201ccykline u201d, que significa u201cdar vueltas u201d; mientras que en China, se le llama u201cfuerte viento u201d. n

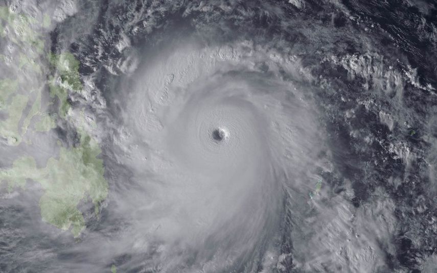
Los tifones suelen formarse en ambientes acuáticos abiertos, como los mares y océanos, pudiendo llegar a zonas terrestres o continentales, dependiendo de la fuerza que desarrollen a medida que avanzan. Algunos de ellos pierden velocidad y potencia antes de tocar tierra y por tanto son inofensivos, mientras que otros suman más y más fuerza haciendo que, al llegar a tierra, sean extremadamente peligrosos y dañinos, tal es el caso de los llamados u201csúper tifones u201d.
n
El término"súper tifón" fue creado por el Centro Combinado de Avisos para Tifones de Estados Unidos, para referirse a los ciclones asiáticos que alcanzan vientos máximos de superficie sostenidos durante un minuto, de 65 metros por segundo, es decir, 130 nudos, 150 millas por hora. El equivalente a un huracán de categoría 5 en la Escala de Vientos de Saffir-Simpson, considerados más que peligrosos, letales. n

La historia del Haiyan n


El súper tifón más devastador de la historia moderna fue el Haiyan, un ciclón de categoría cinco que afectó al Sudeste Asiático, principalmente Filipinas, a finales del año 2013. Este ciclón, el más intenso que ha tocado la tierra, y extraoficialmente, el más veloz, dejó como saldo más de diez mil muertos. n

Este fenómeno meteorológico se originó de un área de baja presión, a unos cientos de kilómetros al sureste de Pohnpei, en Micronesia, como un grupo de cumulonimbos o nubes cargadas de electricidad, que se fueron desplazando hacia el oeste, y convirtiéndose rápidamente en una depresión tropical, gracias a las condiciones ambientales.

Tras recibir su nombre, el 4 de noviembre de 2013, se intensificó rápidamente, extendiéndose sobre más de 400 kilómetros y convirtiéndose en tifón para, en cuestión de horas, legar a la categoría de súper tifón. nPara aquel momento, la Agencia Meteorológica de Japón midió los vientos del Haiyan y estos llegaron hasta los 235 km/h, durante diez minutos, considerándolo como el más intenso, jamás observado en términos de velocidad de vientos.

Pocas horas después, el ojo del ciclón tocó tierra por primera vez en Guiuan, en la provincia filipina de Sámar Oriental, donde el feroz viento y las fuertes precipitaciones hicieron estragos. nEl calor, creciente por el movimiento de las nubes, iba aumentando su fuerza, y las temperaturas altas significarían más energía para alimentarlo. Además, la intensa baja presión generó una marejada ciclónica o inundación costera, que arrasó con todo lo que encontró a su paso. n

Han pasado varios meses, y las alarmas se encienden en Japón con una amenaza de Super tifón, y aunque no hay evidencias concretas que atribuyan al cambio climático la responsabilidad de estos severos eventos atmosféricos, el aumento de la temperatura en los océanos hace que los científicos teman la llegada de nuevas y más feroces tormentas.
Temas

¡Recibe las últimas noticias en tus propias manos!

Descarga LA APP

Deja tu comentario

Te puede interesar