Las imágenes tras el paso del huracán Matthew por Haití, además de devastadoras han llegado a ser “terroríficas”, de acuerdo con un reporte publicado este miércoles por BBC Mundo.
Las imágenes tras el paso del huracán Matthew por Haití, además de devastadoras han llegado a ser “terroríficas”, de acuerdo con un reporte publicado este miércoles por BBC Mundo.
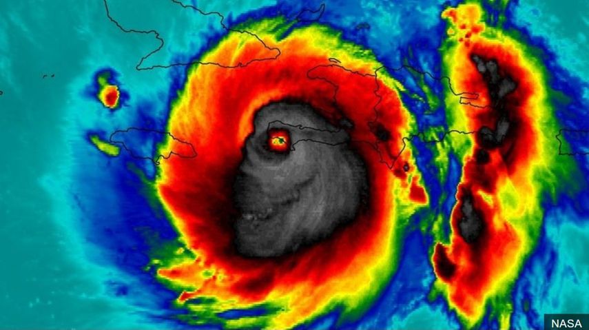
Una fotografía satelital proporcionada por la Agencia Espacial de EEUU (NASA, por sus siglas en inglés) se convirtió en viral luego de que quienes la vieron identificaron la silueta de una calavera, marcada por el ojo del huracán y nubes que parecen ser los dientes de un cráneo.
La foto se viralizó en redes sociales y fue calificada de “terrorífica” y muchos de los usuarios de Twitter que la compartieron compararon a Mathew con el personaje de historieta de Marvel “El Vengador Fantasma” (Ghost Rider).
Lamentablemente, refiere BBC Mundo, Matthew no tiene nada de personaje de ficción y en estos momentos mantiene en alerta al estado de la Florida, a donde debe llegar este jueves.
La propia NASA ha estado publicando imágenes y videos obtenidos desde la Estación Espacial Internacional, en los cuales puede verse el peligroso fenómeno meteorológico en su avance hacia la costa sureste de los EEUU.
Este video muestra al fenómeno meteorológico al final de la tarde de este miércoles, luego de azotar Cuba y en dirección a Bahamas.
FUENTE: REDACCIÓN

video